Telek Eladó Zalaszentgrót - Szent Gróth Termálfürdő mellett

Eladó Zalaszentgrót Telek
24 985 m2Alapterület 0 Szoba
149 000 000 Ft Ár
361012Azonosító
További adatok

Kertre néző Kilátás

Gyenge Tömegközlekedés

TELEK ELADÓ - Zala vármegye - Zalaszentrgót!

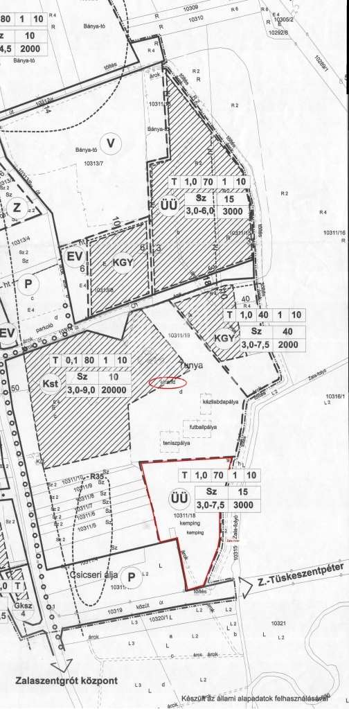
Telekterület - 24 985 m²
"Kivett kemping" megnevezése

CSEND, NYUGALOM, BÉKE!
NAGYSZERŰ ELHELYEZKEDÉS!
SZENT GRÓTH TERMÁLFÜRDŐ MELLETT!

- Hévíz-Balaton nemzetközi repülőtér 37 km, Balaton 35 km, Ausztria 72 km, zalacsányi golfpályák 17 km
- Iskola, óvoda, orvos, patika, bolt nagyon közel
- Strand, teniszpályák, lovarda a közelben

Üü besorolású telek.

- Az „Üü” jelű üdülőházas övezetben olyan - általában - kettőnél több üdülőegységet magába foglaló üdülő vagy szálloda rendeltetésű épület, üdülőtábor és kemping helyezhető el, amely túlnyomóan változó üdülői kör több napos tartózkodására szolgál, és elhelyezése, mérete, kialakítása, felszereltsége és infrastrukturális ellátottsága alapján az üdülési célú tartózkodásra alkalmas.
- Az övezetben elhelyezhető épületek az első bekezdésben meghatározott rendeltetésen kívül kereskedelmi, szolgáltató rendeltetést is tartalmazhatnak.
- Az övezet területén a főépítmény megléte esetén, vagy főépítmény építésével egyidejűleg az előzőeken túl elhelyezhetők az épületek rendeltetését kiszolgáló másodlagos rendeltetésű épületek.

Beépítési mód Szabadonálló
Megengedett legnagyobb beépítettség 30%
Kialakítható legkisebb zöldfelület 40%
Megengedett legnagyobb beépítési magasság épületmagasság /utcai
párkány magasság/ homlokzat magasság 15,0 / - / 15,0 m
Oldalkert legkisebb mértéke 6m
Kialakítható legkisebb telekszélesség és telekterület 40/3000 m/m2

Minden közmű (víz, szennyvíz, elektromos áram) a telekhatáron van, a gáz bekötve. A terület aszfaltutakkal határos, könnyen megközelíthető.

Az Önkormányzat szívesen fogadna a termálfürdőre épülő szolgáltatásokat, elsősorban szálláshely és kiegészítő spa-szolgáltatások. Az ingatlanról a termálfürdőbe közvetlen átjárás biztosított. Ez is tökéletes lenne egy kisebb volumenű idősek otthonának.
A termálvíz minőségét jelzi a zalaszentgróti kutakból kitermelt és palackozott méltán híres Naturaqua ásványvíz, amelyet a világ számos országába is exportálnak. A termálfürdő városi tulajdon.


Hívjon bizalommal!
I.V
Csík Zsolt

Csík Zsolt

Hívjon bizalommal

+36-30-641-Mutasd!

További hirdetéseim

Ingatlaniroda
GDN Ingatlanhálózat - SZIGET
+36 24 656 320

Visszahívást kérek

Keressen bennünket